
Гороховая зерновка (Брухус)


4 человека ответилиОдин из самых экономически значимых вредителей зернобобовых культур, в особенности гороха. Встречается во всех регионах, где возделывается горох.
Вредоносность:
🔻 Вредят личинка и имаго. Личинка повреждает растения в поле, имаго – бобы при хранении. В результате повреждений вес зёрен снижается на 40%, полевая всхожесть на 75%. Поражённый горох нельзя употреблять в пищу и скармливать скоту.
🔻 Активный выход из мест зимовки происходит при температуре 26-28 градусов. Максимальная численность жуков отмечается во время цветения гороха.
Меры борьбы:
Агротехнические мероприятия:
- Ранний посев;
- Использование устойчивых сортов (меньше поражаются сорта с короткой плодоножкой, крупными бобами, густо облиственные);
- Зяблевая вспашка;
- Посев гороха на больших площадях (более 200 га);
- Уборка краевых полос (в фазе начала налива семян) на зелёный корм.
- Очистка семян гороха от изъеденных брухусом.
Химический метод защиты:
Самым действенным способом подавления развития вредителя во время вегетации культур является инсектицидная обработка полей. Препараты, зарегистрированные для применения против гороховой зерновки:
- Класс синтетические пиретроиды: альфа-циперметрин, гамма-цигалотрин, циперметрин, лямбда-цигалотрин
- Класс неоникотиноиды: тиаметоксам
- Класс ФОС: диметоат, малатион.
- Класс антранилдиамиды: хлорантранилипрол.
- Класс карбаматы: метомил.
Для борьбы с вредителем при хранении бобовых используется фумигация разрешенными инсектицидами осенью до наступления похолодания или весной, за месяц до посева.
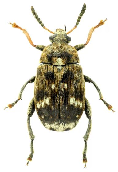
Описание, особенности развития:
🔵 Размер имаго 4-5 мм. Цвет тела черный, сверху покрыт рыжевато-серыми волосками. Надкрылья укорочены (не закрывают два последних сегмента брюшка).
🔵 Выход из зимовки происходит при достижении среднесуточной температуры воздуха +18 градусов. Имаго откладывает яйца на поверхность бобов в период от начала их формирования до начала созревания.
🔵 За год развивается 1 поколение. Зимует куколка или личинка старшего возраста.
Как провести учёт:
Проводят кошение энтомологическим сачком. Делают 10 взмахов в 10 различных участках поля. Количество всех пойманных особей складывается в одно число и делится на 10, после чего этот показатель сравнивают с ЭПВ.
Источники, использованные при написании материала:
1. www.agroatlas.ru
2. www.agroxxi.ru
3. Кадамшоев М. К биологии и вредоносности гороховой зерновки (Bruchus pisorum L., Coleoptera, Bruchidae) в условиях Западного Памира. / Известия Академии наук Таджикской ССР, N 2. Душанбе, 1985. С. 73-76.
4. Девяткин, А.М. Сельскохозяйственная энтомология. Электронный курс лекций / А.М. Девяткин, А.И. Белый, А.С. Замотайлов. – Краснодар, 2012. – 301 с.
✅Предлагаем подключиться к системе "Полевод" для учета и контроля вредных объектов на Ваших полях, а также установить мобильное приложение для удобного мониторинга полей. Скачать мобильное приложение.
| Не является рекомендацией | |
|---|---|
| альфа-циперметрин | Чувствителен |
| гамма-цигалотрин | Чувствителен |
| циперметрин | Чувствителен |


Нет комментариев