
Опомиза пшеничная
Злаковая муха опомиза - опасный вредитель озимых колосовых культур, таких как пшеница, ячмень и рожь. Ее появление на посевах данных сельскохозяйственных культур ведет к большим потерям урожая (до 80%).
Ареал распространения
Пшеничная опомиза широко распространена в европейских странах и присутствует почти во всех регионах Российской Федерации.
Морфология и экология
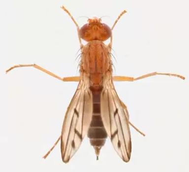
🔶 Пшеничная опомиза (лат. Opomyza florum Fabricius) относится к семейству Opomyzidae отряда Diptera.
🔶 Имаго опомизы представляет собой насекомое ржаво-желтого цвета длиной 3,5-4 мм. Брюшко тонкое: у самок оно к концу сужается, у самцов остается овальным. Период спаривания происходит в сентябре-октябре, самки откладывают яйца в почву на глубину 3 см рядом с озимыми растениями. Яйца опомизы желтоватого цвета, продолговатые (0,8 — 0,9 мм длиной). Личинки вылупляются ранней весной. Длина их тела не превышает 1,2 мм в первом и 7 мм в третьем возрасте. На конце тела имеются мясистые отростки. Личинки – самые вредоносные стадии опомизы. Они прогрызают растения, проникая внутрь побега, поднимаются по листовой трубке, а затем перемещаются на побеги соседних растений. Окукливаются личинки в стеблях или листовых влагалищах поврежденных или здоровых растений в течение 20 суток. В конце июня наблюдается вылет мух. Мухи питаются на цветущих зонтичных, сложноцветных и бобовых культурах. Опомиза развивается в одном поколении.
Вредоносность
Вредитель представляет опасность для сельскохозяйственных культур исключительно ранней весной, никогда не поражает узел кущения, что его существенно отличает от других видов мух. Его лимитирующими факторами являются температура выше 22 градусов и количество осадков ниже 90 мм.
Симптом поражения
Основным симптомом поражения опомизой является пожелтение и увядание центрального листа и всего стебля растения.
Меры борьбы
🔷 Агротехнические
1. Соблюдение севооборота
С целью предотвращения распространения вредителя, необходимо размещать зерновые культуры после наилучших для них предшественников (чистый пар, бобовые, пропашные культуры)
2. Соблюдение оптимального срока сева
Высевать культуры в оптимальные для конкретного региона сроки
3. Лущение стерни и ранняя зяблевая вспашка на глубину 20-22 см для уничтожения пупариев, оставшихся в стерне
🔷 Химические
1. Протравливание семян препаратами на основе неоникотиноидов (тиаметоксам, имидаклоприод, клотианидин) для защиты всходов
2. Опрыскивание растений инсектицидами в процессе вегетации (Грифон, КС; Дитокс, КЭ; Лассо, КЭ)
Как провести учет
Учет мух проводится в солнечную безветренную погоду. В нескольких местах поля сачком делают 100 взмахов, затем проводят подсчет пойманных насекомых и высчитывается средний результат их численности по полю.
Экономический порог вредоносности: в фазу всходы-кущение – 30 мух на 100 взмахов сачком 10% поврежденных стеблей.
| Не является рекомендацией | |
|---|---|
| Альфа-циперметрин | Чувствителен |
| Лямбда-цигалотрин | Чувствителен |
| Тиаметоксам | Чувствителен |


Нет комментариев