Найдите клиентов из С/Х на Direct.Farm → 6500 компаний и 300 000 посетителей
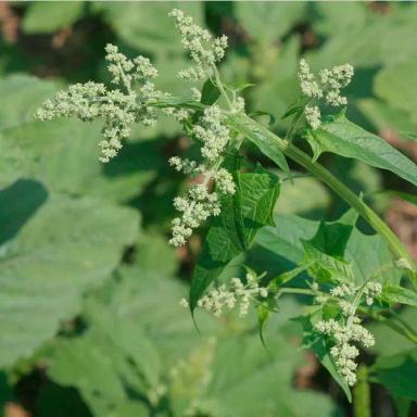
Марь гибридная

Марь гибридная

Chenopodium hybridum L.
Опрос агрономов
Вы сталкивались с этим сорным растением?
двудольные
Класс
Амарантовые
Семейство
малолетние
Продолжительность периода жизни
ранние яровые
Биологическая группа
9...11 см
Глубина прорастания семян
+3...+4°С
Температура прорастания
Марь гибридная - однолетнее яровое сорное растение, растет на полях, лугах и пастбищах, у дорог и жилья. Распространен почти по всей стране, кроме Крайнего Севера.

Биологические особенности и вредоносность:
  • Размножается семенами. Предпочитает богатые питательными веществами рыхлые суглинистые почвы.
  • Всходы появляются в марте - мае, цветет в июле - сентябре.
  • Минимальная температура прорастания семян +3...+4°С.
  • Плодовитость: 946 200 орешков/растения, которые прорастают только весной следующего года.
  • Глубина прорастания: не более 9-11 см.
  • Засоряет посевы преимущественно пропашных культур, сады.
  • Сильно снижает урожайность, а также затрудняет уборку.
  • Сорняк имеет дурманящий аромат.
Меры борьбы

Агротехнические:
  1. Механическая обработка почв.
  2. Соблюдение севооборота.
  3. Уничтожение сорняка до цветения.
Химические:
  • Перед по севом или до всходов культур - обработка почвенным или гербицидом сплошного действия.
  • По вегетации с/х культур - обработка дикотицидами.
Морфологическое описание:

🔹Корень стержневой.
🔹Стебель высотой 30-120 см, прямой, ветвистый, продольно-ребристый, голый.
🔹Листья очередные, яйцевидные, вымчато - крупнозубчатые, голые, верхние с более короткими черешками.
🔹Цветки в виде зеленоватых клубочков.
🔹Плод округло-сдавленный, ячеисто - точечношероховатый, блестящий орешек.
🔹Орешек темно - серого цвета. Размер: 1,75-2 х 1 мм. Масса 1 000 орешков 1,5-1,75 г.

Источники используемые при написании материала:
  1. Артохин К.С., Игнатова П.К. Сорные растения и меры борьбы с ними. Изд-во "Foundation". – Ростов-на-Дону. 2016. 466 с.
  2. Хорст Клаассен, Йоахим Фрайтаг. под редакцией Ю.М. Стройкова. Сорные растения, распространение и вредоносность, определение видов. Совместное издание сельскохозяйственного издательства Ландвиртшафтсферлаг Мюнстер-Хилтруп и БАСФ АГ, Лимбургерхоф. 2004.
  3. rosselhoscenter.com/index.php/2014-02-28-11-39-42/2011-11-16-12-58-47/sornyaki/1305-mar-gibridnaya
  4. pesticidy.ru
✅Предлагаем подключиться к системе "Полевод" для учета и контроля вредных объектов на Ваших полях, а также установить мобильное приложение для удобного мониторинга полей. Скачать мобильное приложение. 
Чувствительность к действующим веществам и препаратам:
Не является рекомендацией
АцифлуорфенЧувствителен
БентазонЧувствителен
ИмазетапирЧувствителен

Нет комментариев

M